Nature enthusiasts engaged all of their senses on the June 29, 2024, ecology walk led by Charles Smith along the Haul Road trail.
![]() |
| Needham’s skimmer dragonfly. Photo by Kevin Munroe. |
- Needham’s skimmer dragonflies (Libellula needhami) flitted about and perched for just seconds in the sun.
- Redwing blackbirds (Agelaius phoeniceus) called from the cattails.
- Green frogs (Lithobates clamitans), well-camouflaged in the wetland vegetation, made their distinctive “boing” call, sounding like a plucked banjo string.
- Fluffy cottonwood tree (Populus deltoides) seeds lined the trail, though most had likely been dispersed by the wind.
Swamp indigo plants (genus Indigofera), a member of the pea family, “tell you where you are” in the landscape, said Charles. He explained that in Dyke Marsh people can study gradations in the land, like uplands, floodplain wetlands and swamp forests that are closer to the tidal zone. He pointed out the river bulrush (Bolboschoenus fluviatilis) that is listed by Virginia as critically imperiled and the marsh’s distinctive narrow-leaf cattails (Typha angustifolia) that thrive in mesic soil.
![]() |
| Some of the poison ivy (genus Toxicodendron) vines were displaying berries which birds love. All photos by Glenda Booth |
![]() |
| Leaf cutter bees (genus Megachle) “chomped” out circular pieces of redbud tree leaves. 1 of 2 |
![]() |
| Leaf cutter bees (genus Megachle) “chomped” out circular pieces of redbud tree leaves. 2 of 2 |
![]() |
| The group watched a leafhopper insect (family Cicadellidae) hop about on redbud tree’s (Cercis canadensis) leaves. |
![]() |
| Virginia dayflowers (Commelina virginica) were lush at the path’s bend. |
![]() |
| The black willow oak (Quercus phellos) is native to the eastern United States. |
![]() |
| American water willow plants (Justicia americana) were shimmering in the breeze along the shoreline with the entwined, parasitic yellow dodder (genus Cuscuta) very visible. |
![]() |
| The shells along the shoreline were likely from Asiatic mollusks, Smith speculated. |
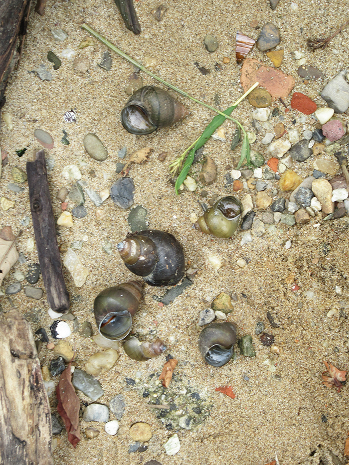
![]() |
| These black snail shells, which are from what some call invasive “mystery snails,” were along the shoreline. They may have come from home aquariums. |
![]() |
| Pickerelweed (Pontederia cordata) plants were beginning to sport purple flowers. |
![]() |
| Despite the 90+-degree heat, the group enjoyed being in Dyke Marsh. |











